Page précédente
Forum Accueil

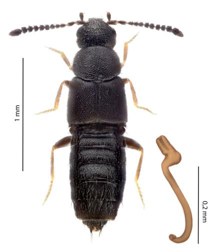
Atheta celata (Erichson, 1837)

Archive zippée du taxon ::: Rech. sur le forum ::: Distrib. géographique ::: Distrib. sur l'année


Photos validées présentes dans la galerie
Réf. 365 567 : Atheta celata
Réf. : 365 567 - Photo : Jean-Cyril FREEMAN (France [64570] 17/09/2025) - Taille : 1,7 mm
Contacter les administrateurs
--- Page reconstruite le 15-10-2025 à 05:42:11 --- Page affichée en 0.015 s --- Licence CC BY NC ---
LMDI — 2002-2025

Haut