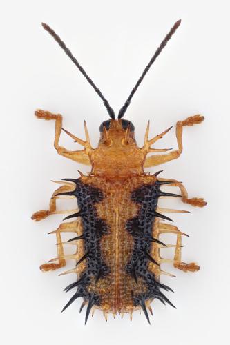
Hispinae indéterminés
Photos validées présentes dans la galerie
 
Réf. : 350 516 - Photo : Claude Chavand (Philippines [....] 23/03/2024) - Taille : 4.0 mm
   
--- Page reconstruite le 26-10-2025 à 08:53:28 --- Page affichée en 0.005 s --- Licence CC BY NC ---
LMDI — 2002-2025
	
		Haut