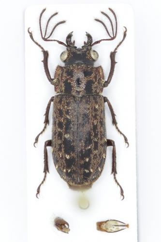
INSECTA > Coleoptera > Lucanidae > Mitophyllus arcuatus
Référence de la photographie : 202 437
Mitophyllus arcuatus (Image de 600×900 pixels — 70 ko)
Auteur de la photo : PierrickB
INSECTA > 
Coleoptera
Famille des Lucanidae, 
Aesalinae, 
Ceratognathini
Mitophyllus arcuatus Holloway, 2007
Sexe : M
Taille : 9 mm
Pays : Nouvelle-Zélande
Commune : Ruatiti Domain - Ruapehu District
C. postal : 00000
Altitude : NR
Date de l'observation : 27/01/2017
Commentaires : A la frontale de nuit sur la végétation basse en lisière de forêt
Mots-clefs : imago-adulte-subimago, édéage-genitalia
Validé par : Lysbeth d'Alys
Date de validation : Avril 2018
La détermination a été jugée certaine par les administrateurs de la galerie.
 
L'identification d'une espèce est souvent délicate. Des informations autres que l'habitus sont fréquemment nécessaires (détails morphologiques, pièces génitales, plante-hôte, biotope, etc.). 
Par ailleurs, l'amélioration continue des connaissances fait qu'une identification, même proposée avec un bon niveau de confiance, peut devoir être reconsidérée.
Référez-vous au sujet associé sur le forum pour connaître les conditions dans lesquelles l'identification a été proposée.
Consultez également les 
limites de l'identification sur photo.
Financement de la galerie : Faire un don avec Paypal : 
 
 
Image vue 572 fois depuis son téléchargement sur le site —  Utilisateurs connectés actuellement sur le site : 840 — Page affichée en 2.02 s
LMDI — 2002-2025 — Licence CC BY NC — Certaines coordonnées de latitude et de longitude sont issues de tables fournies par 
GeoNames.