Back Prev
Next Forum Home

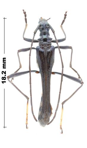
INSECTA > Coleoptera > Cerambycidae > Necydalinae inconnu

Référence de la photographie : 366 143
(Image de 883×1500 pixels — 136 ko)

Auteur de la photo : P.Deschamps
INSECTA > Coleoptera
Famille des Cerambycidae, Necydalinae
Necydalinae indéterminé
Sexe : NR
Taille : 18.2 mm
Pays : Chili
Commune : Alto Vilches province de Talca
C. postal : 0000
Altitude : NR
Date de l'observation : 20/12/1977
Commentaires : Pas de commentaires
Validé par : Lysbeth d'Alys
Date de validation : Décembre 2025

La détermination a été jugée certaine par les administrateurs de la galerie.
L'identification d'une espèce est souvent délicate. Des informations autres que l'habitus sont fréquemment nécessaires (détails morphologiques, pièces génitales, plante-hôte, biotope, etc.). Par ailleurs, l'amélioration continue des connaissances fait qu'une identification, même proposée avec un bon niveau de confiance, peut devoir être reconsidérée. Référez-vous au sujet associé sur le forum pour connaître les conditions dans lesquelles l'identification a été proposée.
Consultez également les limites de l'identification sur photo.
Financement de la galerie : Faire un don avec Paypal : Don par Paypal
Image vue 79 fois depuis son téléchargement sur le site — Utilisateurs connectés actuellement sur le site : 213 — Page affichée en 0.024 s
LMDI — 2002-2025 — Licence CC BY NC — Certaines coordonnées de latitude et de longitude sont issues de tables fournies par GeoNames.