Back Prev
Next Forum Home

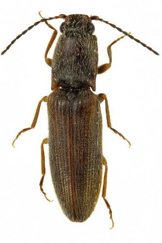
INSECTA > Coleoptera > Elateridae > Athous sp.

Référence de la photographie : 366 239
(Image de 591×886 pixels — 90 ko)

Auteur de la photo : Alain Berly
INSECTA > Coleoptera
Famille des Elateridae, Hypnoidinae, Denticollini
Athous sp.
Sexe : NR
Taille : 7,7 mm
Pays : France
Commune : Volpajola
Lat : 42° 31' 0.120'' N (42.5167)
Long : 9° 20' 59.99'' E (9.35)
Code postal : 20290
Altitude : 296 m
Date de l'observation : 16/06/2025
Commentaires : LD Le Prato ; boisement mixte (Quercus ilex, Q. suber, Castanea sativa) et friches herbacées ; de nuit, au piège lumineux Lépiled
Mots-clefs : imago-adulte-subimago
Validé par : Lysbeth d'Alys
Date de validation : Novembre 2025

La détermination a été jugée certaine par les administrateurs de la galerie.
L'identification d'une espèce est souvent délicate. Des informations autres que l'habitus sont fréquemment nécessaires (détails morphologiques, pièces génitales, plante-hôte, biotope, etc.). Par ailleurs, l'amélioration continue des connaissances fait qu'une identification, même proposée avec un bon niveau de confiance, peut devoir être reconsidérée. Référez-vous au sujet associé sur le forum pour connaître les conditions dans lesquelles l'identification a été proposée.
Consultez également les limites de l'identification sur photo.
Image vue 67 fois depuis son téléchargement sur le site — Utilisateurs connectés actuellement sur le site : 258 — Page affichée en 0.029 s
LMDI — 2002-2026 — Licence CC BY NC — Certaines coordonnées de latitude et de longitude sont issues de tables fournies par GeoNames.