Back Prev
Next Forum Home

INSECTA > Inconnu > Inconnu

Référence de la photographie : 366 733
Indéterminé (Image de 1102×975 pixels — 190 ko)

Auteur de la photo : Catherine Reymonet-Smitten
Classification : Indéterminée
Sexe : NR
Taille : --
Pays : France
Commune : Peyrelevade
Lat. : 45° 42' 11.18'' N (45.7031071)
Long. : 2° 3' 12.98'' E (2.0536077)
Code postal : 19290
Altitude : 795 m
Date de l'observation : 04/09/2025
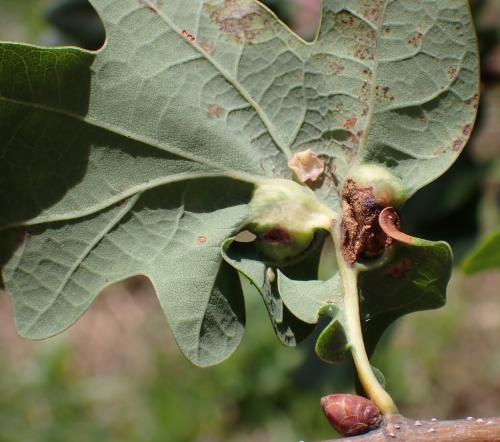
Commentaires : Quercus robur - chemin des côtes

Aucune détermination n'a encore été validée par les administrateurs de la galerie.
L'identification d'une espèce est souvent délicate. Des informations autres que l'habitus sont fréquemment nécessaires (détails morphologiques, pièces génitales, plante-hôte, biotope, etc.). Par ailleurs, l'amélioration continue des connaissances fait qu'une identification, même proposée avec un bon niveau de confiance, peut devoir être reconsidérée. Référez-vous au sujet associé sur le forum pour connaître les conditions dans lesquelles l'identification a été proposée.
Consultez également les limites de l'identification sur photo.
Financement de la galerie : Faire un don avec Paypal : Don par Paypal
Image vue 4 fois depuis son téléchargement sur le site — Utilisateurs connectés actuellement sur le site : 139 — Page affichée en 0.034 s
LMDI — 2002-2025 — Licence CC BY NC — Certaines coordonnées de latitude et de longitude sont issues de tables fournies par GeoNames.