Back Prev
Next Forum Home

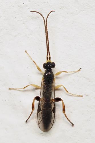
INSECTA > Inconnu > Inconnu

Référence de la photographie : 366 773
Indéterminé (Image de 900×1350 pixels — 109 ko)

Auteur de la photo : Franck Pion
Classification : Indéterminée
Sexe : NR
Taille : 4,0 mm (mesuré)
Pays : France
Commune : Chaville
Lat. : 48° 47' 56.62'' N (48.7990618)
Long. : 2° 11' 26.22'' E (2.1906191)
Code postal : 92370
Altitude : 103 m
Date de l'observation : 24/11/2025
Commentaires : Pas de commentaires

Aucune détermination n'a encore été validée par les administrateurs de la galerie.
L'identification d'une espèce est souvent délicate. Des informations autres que l'habitus sont fréquemment nécessaires (détails morphologiques, pièces génitales, plante-hôte, biotope, etc.). Par ailleurs, l'amélioration continue des connaissances fait qu'une identification, même proposée avec un bon niveau de confiance, peut devoir être reconsidérée. Référez-vous au sujet associé sur le forum pour connaître les conditions dans lesquelles l'identification a été proposée.
Consultez également les limites de l'identification sur photo.
Financement de la galerie : Faire un don avec Paypal : Don par Paypal
Image vue 26 fois depuis son téléchargement sur le site — Utilisateurs connectés actuellement sur le site : 178 — Page affichée en 0.034 s
LMDI — 2002-2025 — Licence CC BY NC — Certaines coordonnées de latitude et de longitude sont issues de tables fournies par GeoNames.