Back Prev
Next Forum Home

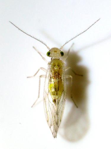
INSECTA > Psocodea > Trichopsocidae > Trichopsocus clarus

Référence de la photographie : 366 777
Trichopsocus clarus (Image de 600×800 pixels — 171 ko)

Auteur de la photo : jean-claude josien
INSECTA > Psocodea
Famille des Trichopsocidae
Trichopsocus clarus (Banks, 1908)
Sexe : NR
Taille : 1,5 mm
Pays : France
Commune : Lens
Lat. : 50° 25' 45.45'' N (50.4292924)
Long. : 2° 49' 59.89'' E (2.8333032)
Code postal : 62300
Altitude : 36 m
Date de l'observation : 24/11/2025
Commentaires : Pas de commentaires
Mots-clefs : imago-adulte-subimago
Validé par : C. Quintin / E. Vandebeulque
Date de validation : Décembre 2025

La détermination a été jugée certaine par les administrateurs de la galerie.
L'identification d'une espèce est souvent délicate. Des informations autres que l'habitus sont fréquemment nécessaires (détails morphologiques, pièces génitales, plante-hôte, biotope, etc.). Par ailleurs, l'amélioration continue des connaissances fait qu'une identification, même proposée avec un bon niveau de confiance, peut devoir être reconsidérée. Référez-vous au sujet associé sur le forum pour connaître les conditions dans lesquelles l'identification a été proposée.
Consultez également les limites de l'identification sur photo.
Image vue 73 fois depuis son téléchargement sur le site — Utilisateurs connectés actuellement sur le site : 114 — Page affichée en 2.027 s
LMDI — 2002-2026 — Licence CC BY NC — Certaines coordonnées de latitude et de longitude sont issues de tables fournies par GeoNames.