Back Prev
Next Forum Home

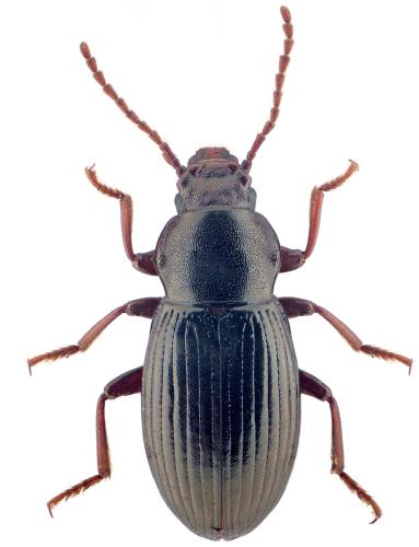
INSECTA > Inconnu > Inconnu

Référence de la photographie : 366 891
Indéterminé (Image de 1149×1500 pixels — 172 ko)

Auteur de la photo : Patrick Deyroze
Classification : Indéterminée
Sexe : NR
Taille : 9,9 mm
Pays : France
Commune : Mosset
Lat : 42° 40' 0.119'' N (42.6667)
Long : 2° 21' 4.263'' E (2.35)
Code postal : 66500
Altitude : NR
Date de l'observation : 07/06/2025
Commentaires : Pas de commentaires

Aucune détermination n'a encore été validée par les administrateurs de la galerie.
L'identification d'une espèce est souvent délicate. Des informations autres que l'habitus sont fréquemment nécessaires (détails morphologiques, pièces génitales, plante-hôte, biotope, etc.). Par ailleurs, l'amélioration continue des connaissances fait qu'une identification, même proposée avec un bon niveau de confiance, peut devoir être reconsidérée. Référez-vous au sujet associé sur le forum pour connaître les conditions dans lesquelles l'identification a été proposée.
Consultez également les limites de l'identification sur photo.
Financement de la galerie : Faire un don avec Paypal : Don par Paypal
Image vue 17 fois depuis son téléchargement sur le site — Utilisateurs connectés actuellement sur le site : 240 — Page affichée en 0.037 s
LMDI — 2002-2025 — Licence CC BY NC — Certaines coordonnées de latitude et de longitude sont issues de tables fournies par GeoNames.