Page précédente
Forum Accueil

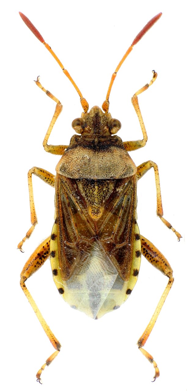
INSECTA > Heteroptera > Rhopalidae > Stictopleurus abutilon

David Ignace - Stictopleurus abutilon - réf. 144111 (612 x 1280 pixels, 104 ko)
David Ignace — Licence CC BY NC
Image 144 111 vue 513 fois depuis son téléchargement — Utilisateurs connectés : 99 — Rechercher la photo sur le forum
Fiche technique — Cliquez sur l'image pour revenir à la page précédente ou pour la fermer.
LMDI — 2002-2023
Affichage plein écran