Page précédente
Forum Accueil

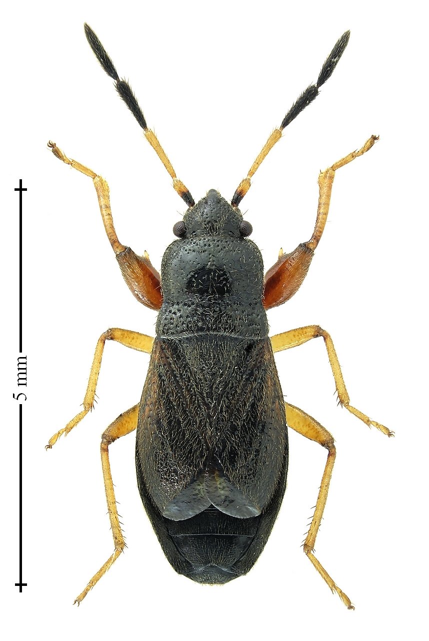
INSECTA > Heteroptera > Rhyparochromidae > Megalonotus antennatus

David Ignace - Megalonotus antennatus - réf. 221018 (858 x 1280 pixels, 156 ko)
David Ignace — Licence CC BY NC
Image 221 018 vue 422 fois depuis son téléchargement — Utilisateurs connectés : 143 — Rechercher la photo sur le forum
Fiche technique — Cliquez sur l'image pour revenir à la page précédente ou pour la fermer.
LMDI — 2002-2023
Affichage plein écran