Page précédente
Forum Accueil

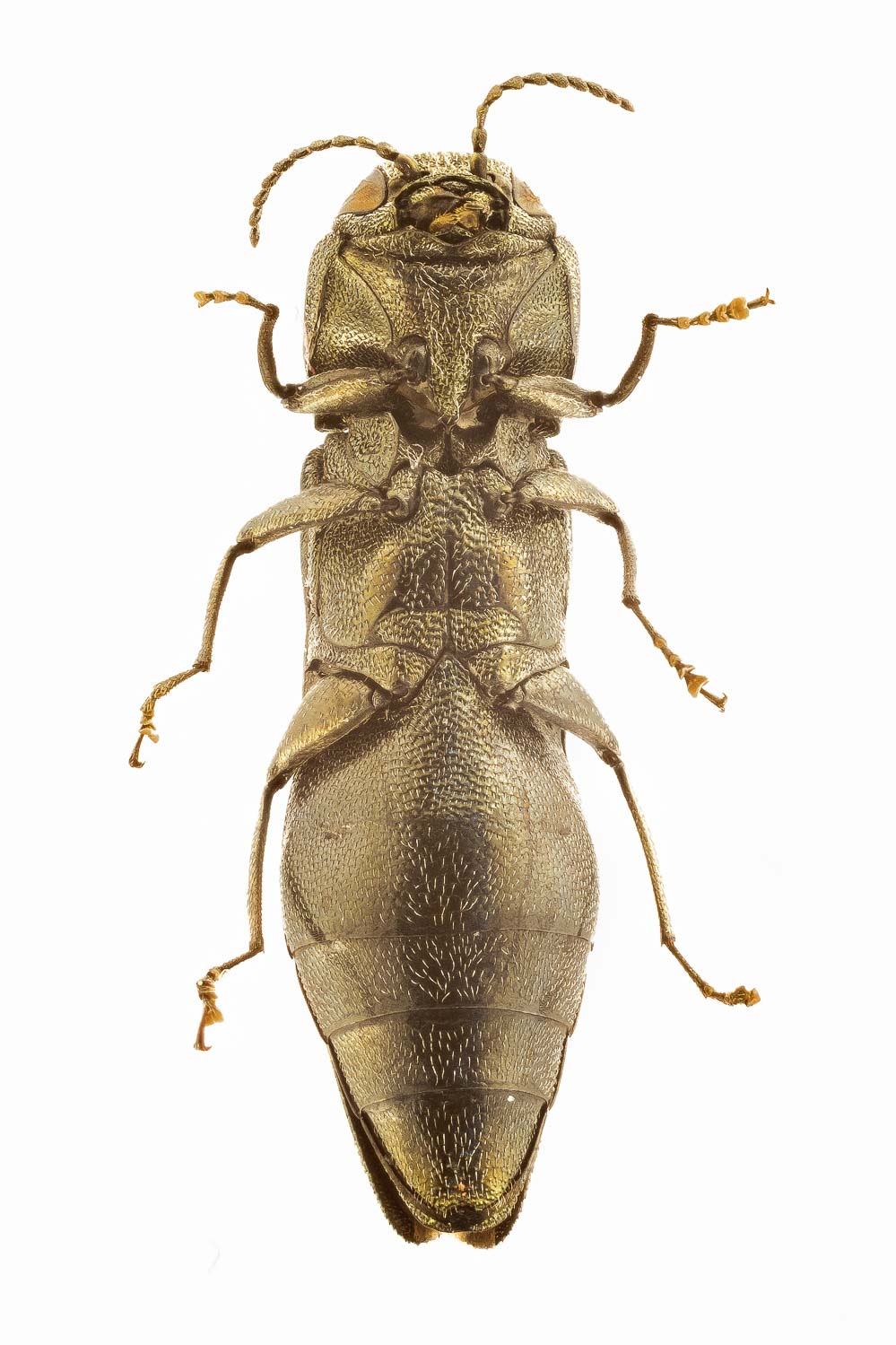
INSECTA > Coleoptera > Buprestidae > Agrilus (Quercuagrilus) angustulus

Thomas Coppée - Agrilus (Quercuagrilus) angustulus - réf. 249406 (999 x 1499 pixels, 179 ko)
Thomas Coppée — Licence CC BY NC
Image 249 406 vue 591 fois depuis son téléchargement — Utilisateurs connectés : 114 — Rechercher la photo sur le forum
Fiche technique — Cliquez sur l'image pour revenir à la page précédente ou pour la fermer.
LMDI — 2002-2023
Affichage plein écran