Page précédente
Forum Accueil

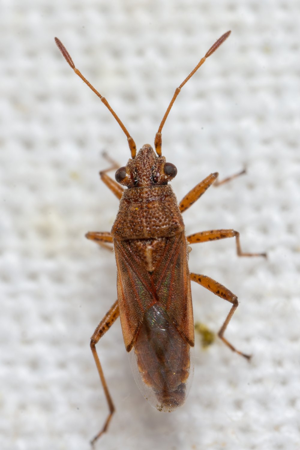
INSECTA > Heteroptera > Lygaeidae > Nysius helveticus

André Burgers - Nysius helveticus - réf. 304268 (1000 x 1500 pixels, 132 ko)
André Burgers — Licence CC BY NC
Image 304 268 vue 237 fois depuis son téléchargement — Utilisateurs connectés : 154 — Rechercher la photo sur le forum
Fiche technique — Cliquez sur l'image pour revenir à la page précédente ou pour la fermer.
LMDI — 2002-2023
Affichage plein écran