Page précédente
Forum Accueil

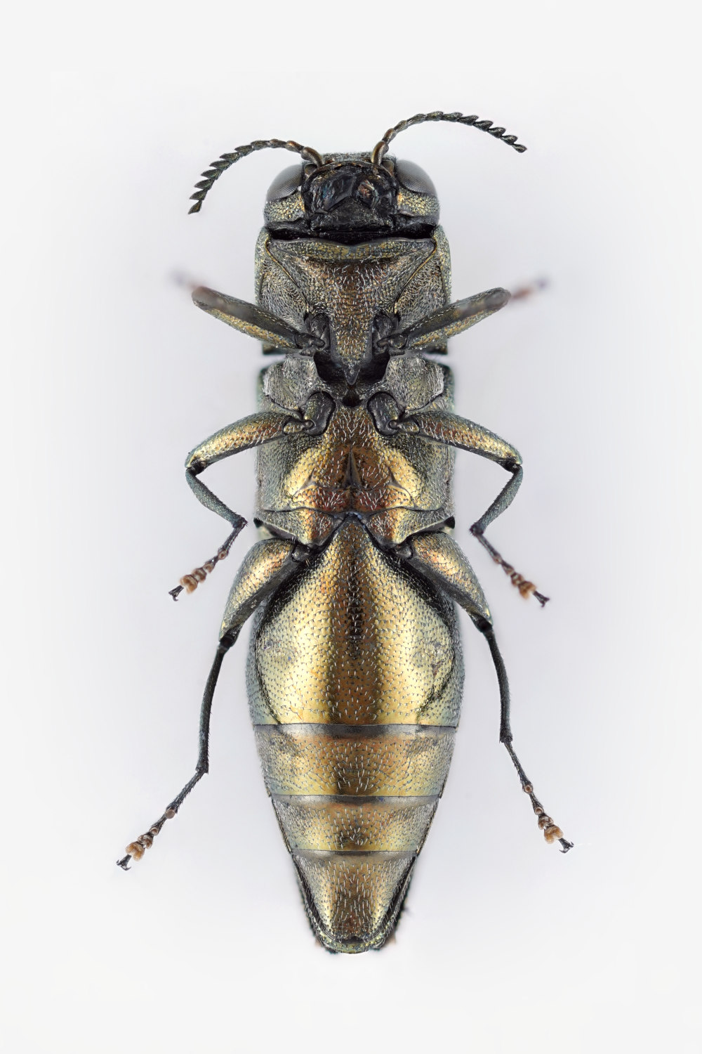
INSECTA > Coleoptera > Buprestidae > Agrilus (Quercuagrilus) graminis

Claude Chavand - Agrilus (Quercuagrilus) graminis - réf. 327587 (1000 x 1500 pixels, 216 ko)
Claude Chavand — Licence CC BY NC
Image 327 587 vue 281 fois depuis son téléchargement — Utilisateurs connectés : 152 — Rechercher la photo sur le forum
Fiche technique — Cliquez sur l'image pour revenir à la page précédente ou pour la fermer.
LMDI — 2002-2023
Affichage plein écran