Page précédente
Forum Accueil

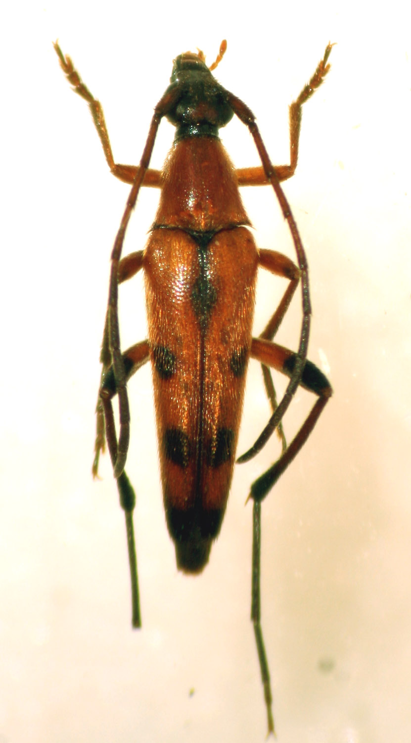
INSECTA > Coleoptera > Cerambycidae > Stenurella septempunctata

GOZOZO - Stenurella septempunctata - réf. 39628 (831 x 1499 pixels, 146 ko)
GOZOZO — Licence CC BY NC
Image 39 628 vue 923 fois depuis son téléchargement — Utilisateurs connectés : 114 — Rechercher la photo sur le forum
Fiche technique — Cliquez sur l'image pour revenir à la page précédente ou pour la fermer.
LMDI — 2002-2023
Affichage plein écran