Page précédente
Forum Accueil

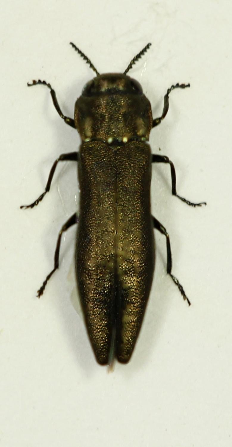
INSECTA > Coleoptera > Buprestidae > Agrilus (Robertius) betuleti

znort - Agrilus (Robertius) betuleti - réf. 64715 (779 x 1500 pixels, 81 ko)
znort — Licence CC BY NC
Image 64 715 vue 1364 fois depuis son téléchargement — Utilisateurs connectés : 125 — Rechercher la photo sur le forum
Fiche technique — Cliquez sur l'image pour revenir à la page précédente ou pour la fermer.
LMDI — 2002-2023
Affichage plein écran